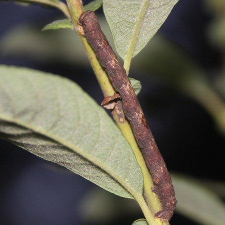
Toukka 6
8.8.2005, Hamina, 671:51, Kimmo Silvonen det.